Address: NNA Blue Grade Road, Parcel 11 JREC North , East Wenatchee , Washington 98802
My State MLS #  List Price $ 59,850.00
Status FOR SALE - Active Video Of Listing Yes  Click Here for Video
TypeAcreage Google Pin Drop  
CountyDouglasWater FrontNo
City Limits NoCross Street Hwy #2
Number of Acres 5.00Lot Size 5.00 ac 
Source BLA and Exempt SegsZoning RR5 Regs Link
Sign Y/N YesHomes Allowed Disclosure Link
Manufactured Homes Allowed Disclosure LinkHorses AllowedYes
Site Improvements Dirt Road, Leveled Pad
Elementary School Buyer to VerifyMiddle School Buyer to VerifyHigh School Buyer to Verify
Sewer No, Need SepticWater No,  Need to Drill WellCovenants Yes,  Rcorded CCRs
SOC: Contact Agent for Cooperation Info Contact Agent for Cooperation InfoTaxes $84.12Terms Cash, Owner Financing Available
Source  APN # 23202310049
Rcorded CCRs  Easement Grant click here    

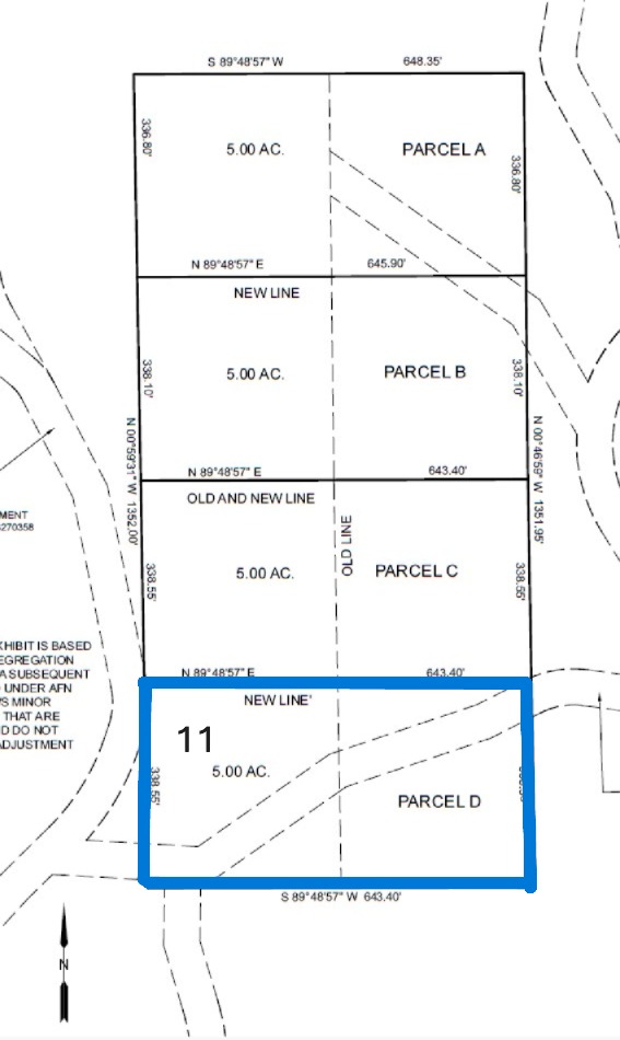
Legal:
Parcel D:
That portion of Section 23, T. 23 N., R. 20 E.W.M. identified as Parcel D on the attached boundary line adjustment exhibit map.

Directions: Call Listing Office at 509-548-1464. Behind Locked Gate


Remarks:

FOR SALE: 5.00 acre parcels minutes out of East Wenatchee

FOR SALE: 5.00 acre Parcel with Grand Views of the Columbia River, City of Wenatchee and  Surrounding Mountains. Good chunk of property 5.00 acres of land to roam. Use it as a Recreational Getaway. Leveled off Pad with circular driveway. This is your Destination for Relaxation. Come experience this in person. The Road is Blue Grade Road which is dirt/gravel road access. Minutes North of East Wenatchee. OFF GRID property. Power over a mile away and have to drill a well for water. This parcel is being sold as a recreational parcel of land. (Building Permit Availability Disclosure Link) Refer to the Douglas County Engineer for building permit availability.



Brokers are welcome to show and sell this listing. All Brokers will have to accompany their buyers when showing this listing
Utility Information:Off Grid
Buildings: None
Topography: Combo; Level; Sloped
Location:Mountain; Rural
View: Mountain; Territorial, City, Columbia River
Possession: Close of Escrow
Sewer:No
Septic:Needed
Water:No; See Remarks
Irrigation Water:No
Showing Instructions:Call L.A. for Appt 509-668-0357
  • Contact Agent for Cooperation Info

Jonathan E. Corning
The John's Real Estate Corp.

Office - (509) 548-1464
Mobile - (509) 668-0357

jonathan@johnsrealestate.net
http://www.johnsrealestate.com












Information is deemed to be reliable, but is not guaranteed. Prepared by Jonathan E. Corning for The Johns Real Estate Corporation

 

Photos for NNA Blue Grade Road , East Wenatchee, WA 98802  
Parcel 11 JREC North Leveled Pad
Parcel 11 JREC North Plat
Parcel 11 JREC North
Parcel 11 JREC North
 
Parcel 11 JREC North
 
Parcel 11 JREC North